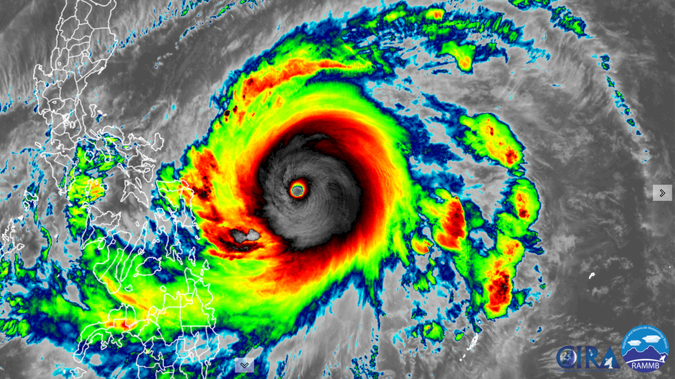
Super Typhoon Surigae surged in intensity from a Category 1 storm on Friday to a beastly Category 5 monster on Saturday, with maximum sustained winds estimated at 180 mph with higher gusts.
Why it matters: This storm — known as Typhoon Bising in the Philippines — is just the latest of many tropical cyclones to undergo a process known as rapid intensification, a feat that studies show is becoming more common due to climate change.
- The storm appears destined to recurve out to sea just northeast of the Philippines, sparing the disaster-prone country from its worst impacts, but it will bring heavy rains, high seas and gusty winds to some areas.
- It may also help shake up weather patterns far downstream, including across North America, over the next few weeks.
Details: The storm maxed out at the top end of the scale according to techniques that meteorologists use to estimate storm intensity via satellites, scoring an 8 out of 8 on one particular metric, which is unusual.
- Of note: Since aircraft do not fly into West Pacific typhoons the way they do in the Atlantic, we may never know how strong Super Typhoon Surigae is, and it's possible the 180 mph intensity is an underestimate.
By the numbers: The storm is the first Category 5 tropical cyclone (a category that includes hurricanes, typhoons and cyclones) to occur in 2021. Typically, each year sees about 18 Category 4 and 5 storms around the world.
- The storm jumped from a 90-mph Category 1 storm Friday to a 180-mph Category 5 super typhoon 24 hours later, a staggering rate of intensification that is more than double the criteria for rapid intensification.
Driving this news: The number of high-end tropical cyclones is increasing as the world continues to warm.
- Projections show that future Atlantic hurricane seasons, for example, could bring a greater proportion of Category 4 and 5 storms, though it's not yet clear if the total number of storms will increase.
- There is evidence, including from the record 2020 Atlantic hurricane season, that more storms in the North Atlantic Ocean basin are undergoing rapid intensification, which can be extremely dangerous if the intensity ramps up near land.
- Super Typhoons like Surigae feed off warm ocean waters and humid air masses, both of which are increasingly abundant as sea and air temperatures warm in response to human-caused global warming.
The bottom line: Super Typhoon Surigae will pass east of the Philippines on Sunday, and be close enough to bring dangerously high surf, heavy rain and gusty winds to eastern and northeastern portions of the country, including the eastern Visayas.



